As developer of the Canadian Open Parkinson Network , I created its LORIS platform, a research management software and patient database. Collaborating with stakeholders, I developed a scalable web-based solution to facilitate the network’s collection, storage, and release of study participants’ de-identified data.
THE PROBLEM
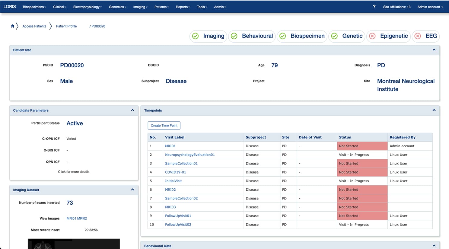
A clinical research coordinator’s problem is that she needs to easily view a snapshot of a study participant’s data to quickly determine where they are in their study journey. How can we provide a visual overview of key research data in a single format, enabling quick analysis, informed decision-making, and effective tracking of a patient’s progress in the research study?
the solution
Role
Sole UI designer, developer
Duration
1 month
Tools
Sketch, React
Providing a participant-centric dashboard would facilitate the coordinator with follow-up scheduling and data collection by showing in brief the participant’s last completed step and all data collected so far.

In designing the participant profile page, I envisioned a hub from which all different types of data can be accessed. I grouped the information in chunks identified by data type to help with content processing, and added markers of data availability at the top of the page, also grouped by data type. These availability chips enable study coordinators to immediately see the status of a patient’s data collection, and therefore their progression in the study timeline.
Furthermore, the coordinator has the option of seeing as little or as much information as possible thanks to collapsible panels that group the content. Clicking on the body of the panels navigates the user to a close-up view of the data for further analysis.
the results
Redesigning the table of information from the initial participant profile page into a visual representation of data tells a story of a participant’s study journey.


The new participant-centric dashboard organizes and presents the data visually. Grouping the data and implementing the use of colour to communicate status helped coordinators to quickly process the information and easily identify their next steps.

“Chunking enables users to easily scan content. It allows them to easily identify the information that aligns with their goals and process that information to achieve their goals more quickly.”
We received positive feedback from stakeholders who appreciated the use of visual elements such as images, colour coding, and chips. These elements brought the data to life, and successfully showed the breadth of data that the project was collecting. This visual representation of the scope of the database was material the project’s directors were happy to share when communicating with the community.
next steps
To improve the data chunking further, I would reorganize the metadata to be grouped as one instead of broken down into separate sections. Consolidating the patient information and candidate parameter panels would highlight these data points as higher level study data, and separate them from the visit-specific data that illustrates the participant’s progress in the study. Furthermore, I would make consistent the language used to describe a study participant. Currently, patient, candidate, and participant are all used synonymously. Choosing only one to use throughout the interface would further enable quick understanding of the data.
